







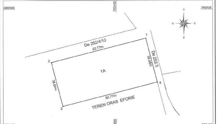
Un teren cu adevărat deosebit, datorită poziției sale privilegiate și vederii directe către mare, chiar deasupra plajei reabilitate. Proprietatea are o suprafață de 3.200 mp, este situată pe colț, cu deschideri generoase de 32,7 m și 82,77 m.
Terenul este liber de sarcini, amplasat în intravilanul localității Eforie, într-o zonă în plină dezvoltare, unde se regăsesc deja locuințe familiale și un bloc. Utilitățile se află la aproximativ 50 m distanță. Preț: 300 €/mp